07.05.2012 17:21
Новый светофорный комплекс будет установлен на пересечении Находкинского проспекта с ул. Школьной. Решение об этом принято на заседании комиссии по безопасности дорожного движения в администрации городского округа.С предложением установить светофорный комплекс в комиссию по безопасности дорожного движения обратилась администрация будущего торгового центра на ул. Школьной. Окончание строительства и открытие магазина площадью более 1000 кв. метров запланировано на 2013 год, но к реконструкции перекрестка предприниматели готовы приступить уже сейчас. Компания выразила готовность оплатить расходы по приобретению и установке необходимого оборудования.
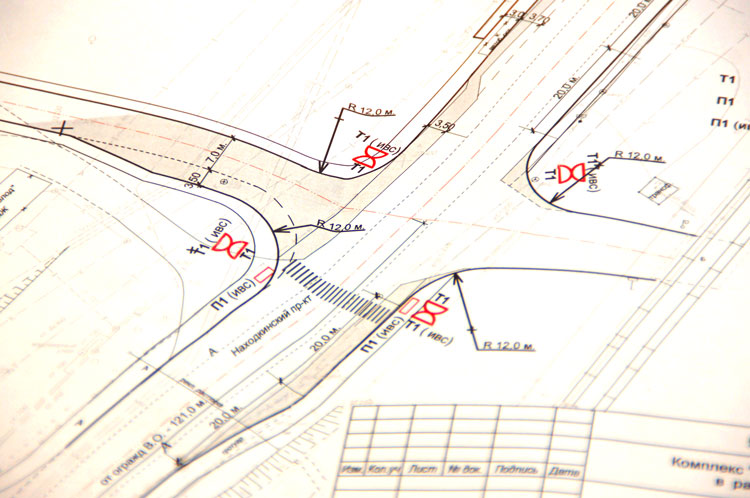
На заседании комиссии была представлена подробная схема размещения и режим работы элементов светофорного комплекса. В качестве основного рассматривается вариант, состоящий из двух пешеходных, трех транспортных табло и таймеров обратного отсчета. Согласно техническому обоснованию проекта, установка светофора позволит четко регулировать движение на пересечении Находкинского проспекта и ул. Школьной. Предполагается, что с открытием торгового комплекса движение на этом участке станет еще более интенсивным.
Проект положительно оценил первый заместитель главы Находки Борис ГЛАДКИХ, а также присутствовавшие на заседании представители отдела ГИБДД. Чтобы избежать возникновения пробок, решено синхронизировать режим работы новых светофоров с уже действующими на Центральной площади.
|
|
Источник: Пресс-служба администрации Находки
Просмотров: 989
Коментариев: 0
Прими участие в опросе, нам важно мнение каждого! Итоги и архив голосований









